2월10일 > 조항현황

조항현황

홈 > 고객센터 > 조항현황

2월10일

페이지 정보

작성자 제작관리자 작성일23-02-10 10:34 조회2,760회 댓글0건

본문

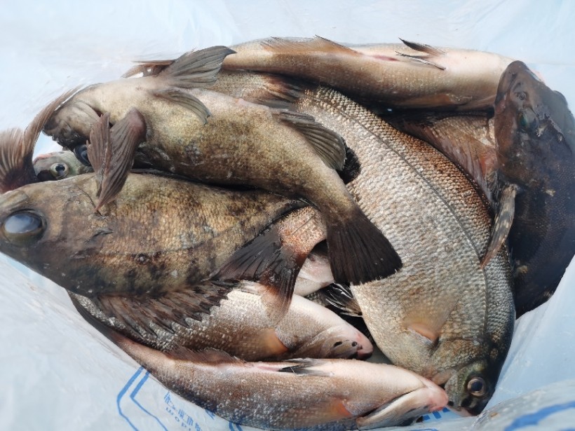
볼락씨알좋습니다
도다리 노래미 망상어..

댓글목록

등록된 댓글이 없습니다.

거제시 둔덕면 학산 3길 학산 선착장 | 예약문의 : 010-7232-7262
관리자로그인 현대이지웹 바로가기